Mittwoch, 19.11.2025

Bauleitplanung 35. Änderung des F-Plan für den Teilbereich „Wesloer Straße"/ B-Plan 26.38.00

Bauleitplanung der Hansestadt Lübeck

 

 hier:    Bekanntmachung der erneuten öffentlichen Auslegung der Entwürfe der 35. Änderung des
             Flächennutzungsplanes der Hansestadt Lübeck für den Teilbereich „Wesloer Straße“ im Stadtteil
             Schlutup und des Bebauungsplanes 26.38.00 – Wesloer Straße 113-117 – gemäß § 3 (2) BauGB

 

Aufgrund einer Empfehlung des Innenministeriums des Landes Schleswig-Holstein mit Schreiben vom 11.05.2010 (Aktenzeichen. IV 645-512.111-3) wird die öffentliche Auslegung der Entwürfe der 35. Änderung des Flächennutzungsplanes der Hansestadt Lübeck für den Teilbereich „Wesloer Straße“ im Stadtteil Schlutup und des Bebauungsplanes 26.38.00 – Wesloer Straße 113-117 – wiederholt.

Die vom Bauausschuss der Hansestadt Lübeck am 19.02.2007 gebilligten und zur Auslegung bestimmten Entwürfe der 35. Flächennutzungsplanänderung für den Teilbereich „Wesloer Straße“ im Stadtteil Schlutup und des Bebauungsplanes 26.38.00 – Wesloer Straße 113-117 – bestehend aus der Planzeichnung – Teil A – und dem Text – Teil B –, und die dazugehörige Begründung liegen in der Zeit vom 02.06.2010 bis einschließlich 02.07.2010 montags bis mittwochs jeweils von 08.00 bis 15.00 Uhr, donnerstags von 08.00 – 18.00 Uhr sowie freitags von 08.00 bis 12.00 Uhr im Fachbereich Planen und Bauen der Hansestadt Lübeck, Bereich Stadtplanung, Mühlendamm 12 – i-Punkt / Foyer (Erdgeschoss) öffentlich aus.

 

Folgende umweltrelevante Informationen sind verfügbar und liegen ebenfalls mit aus:

  • Landschaftsplan
  • umweltbezogene Stellungnahmen aus dem Verfahren zur Behördenbeteiligung
  • Altlastengutachten
  • Herstellung einer Regenwasserentsorgung
  • Hydrogeologisches Gutachten zur Versickerungsfähigkeit

 

Während der Auslegungsfrist können alle an der Planung Interessierten die Planunterlagen und umweltbezogenen Stellungnahmen einsehen sowie Stellungnahmen hierzu schriftlich oder während der Servicezeiten zur Niederschrift abgeben. Nicht fristgerecht abgegebene Stellungnahmen können bei der Beschlussfassung über die Bauleitpläne unberücksichtigt bleiben, wenn die Hansestadt Lübeck den Inhalt nicht kannte und nicht hätte kennen müssen und deren Inhalt für die Rechtmäßigkeit der Bauleitpläne nicht von Bedeutung ist.

Für den Bebauungsplan: Einwendungen, die im Rahmen der Auslegung nicht oder verspätet geltend gemacht werden, aber hätten fristgerecht geltend gemacht werden können, machen einen Normenkontrollantrag nach § 47 Verwaltungsgerichtsordnung unzulässig.

 

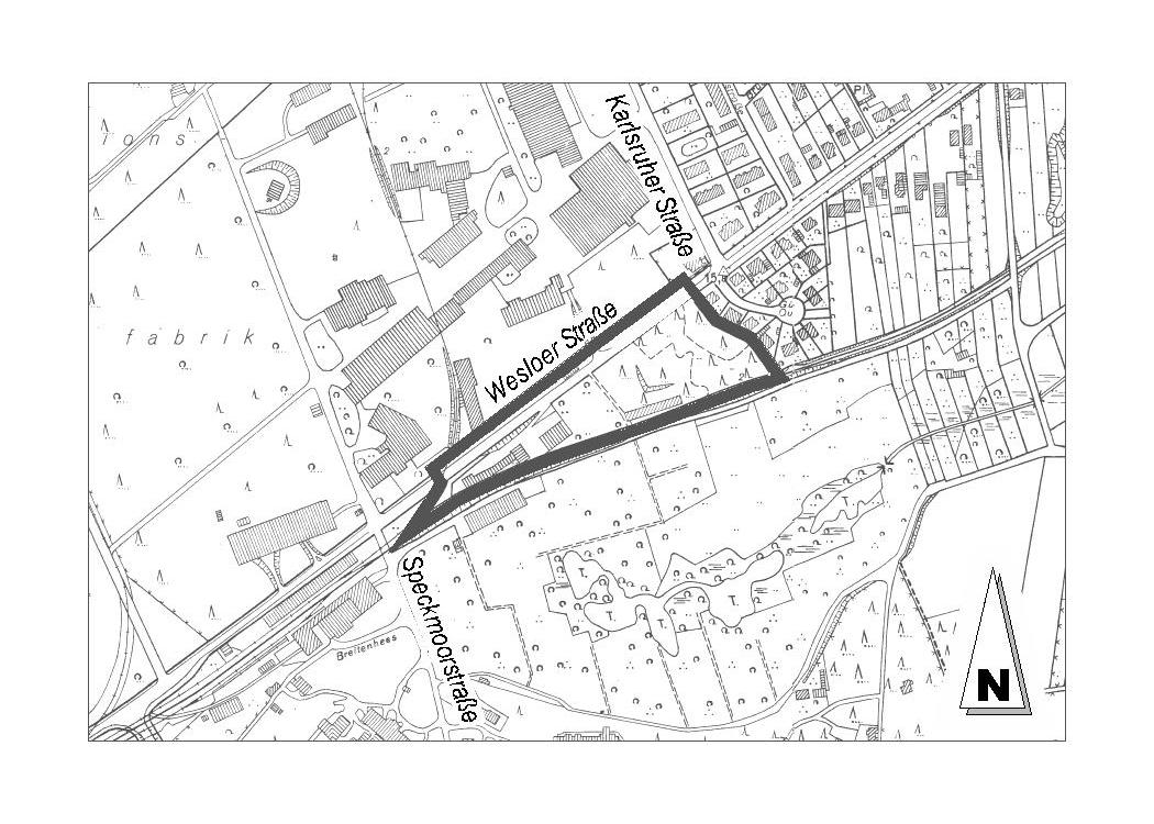
Der räumliche Geltungsbereich der o. g. Bauleitpläne liegt im Stadtteil Schlutup, Gemarkung Schlutup, Flur 8 (RK 1972) und umfasst die Flurstücke 15/27, Teile von 25/4, 25/14, 25/22, 52/1und Teile von 187/117.

 

Übersichtsplan

 siehe in der Anlage unten

 

 

 

 

Durch die vorgenannten Bauleitpläne sollen die planungsrechtlichen und städtebaulichen Voraussetzungen für die Ansiedlung von nicht störenden Gewerbebetrieben geschaffen werden.

 

 

Lübeck,  21.05.2010                                                                                                     Hansestadt Lübeck
                                                                                                                                          Der Bürgermeister
                                                                                                                                          Fachbereich 5 – Planen und Bauen
                                                                                                                                          Bereich Stadtplanung

 

 

Informationen
  • Veröffentlicht am:
    25.05.2010
Anlagen