Mittwoch, 19.11.2025

103. Änderung F-Plan Teilbereich -Travemünder Landstr./Feuerwache- und B-Plan 30.01.00

Bauleitplanung der Hansestadt Lübeck

 

hier:                Bekanntmachung der Aufstellungsbeschlüsse gemäß § 2 (1) Satz 2 BauGB für die 103. Änderung
                        des Flächennutzungsplanes der Hansestadt Lübeck für den Teilbereich „Travemünder Landstraße
                         / Feuerwache“ im Stadtteil Travemünde und den Bebauungsplan 30.01.00 – Travemünder
                         Landstraße / Feuerwache –

 

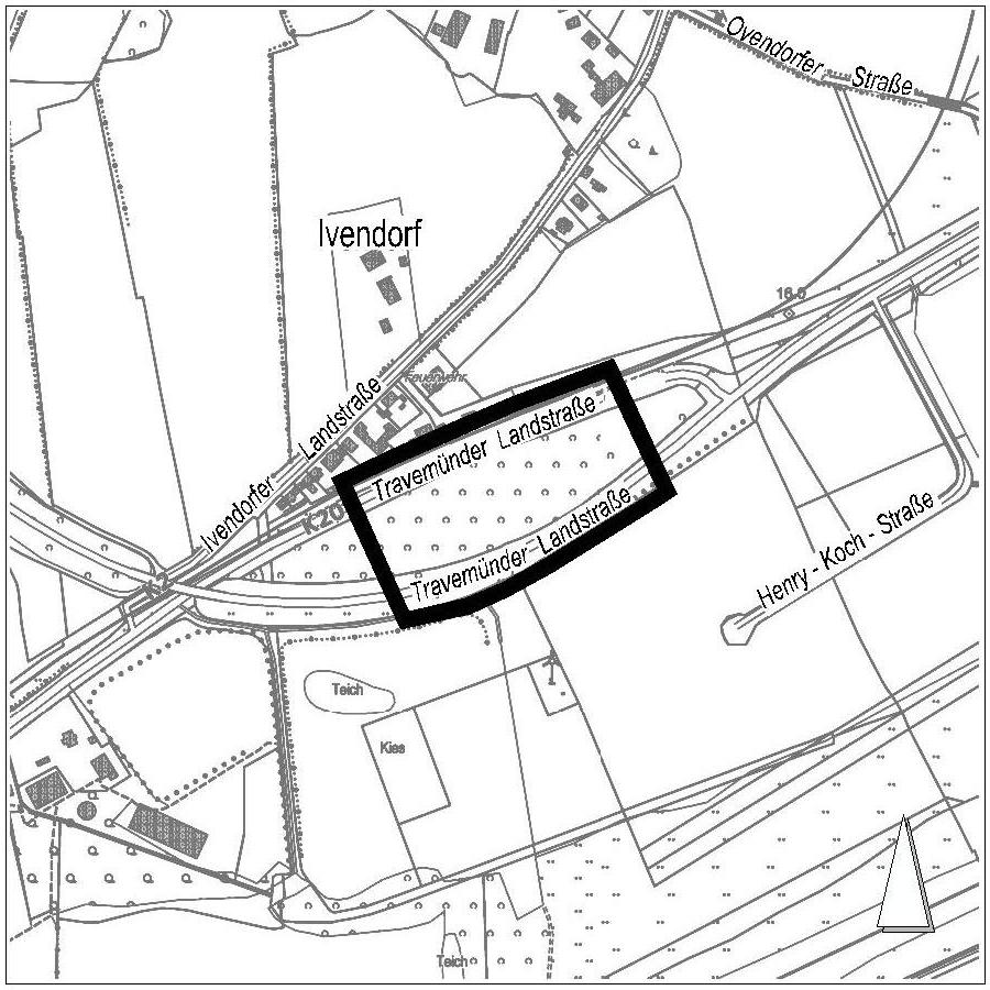
Der Bauausschuss der Hansestadt Lübeck hat in seiner Sitzung am 17.05.2010 beschlossen, dass für das nachfolgend dargestellte Gebiet die 103. Änderung des Flächennutzungsplanes der Hansestadt Lübeck für den Teilbereich „Travemünder Landstraße / Feuerwache“ im Stadt­teil Travemünde und der Bebauungsplan 30.01.00 – Travemünder Landstraße / Feuerwache – aufgestellt werden.

 

Diese Beschlüsse werden hiermit bekannt gemacht.

 

 

Übersichtsplan

siehe in der Anlage unten

 

 

 

 

Die vorgenannten Bauleitpläne werden aufgestellt, um die planungsrechtlichen Voraussetzun­gen für die Realisierung einer Feuer-/Rettungswache zur Verbesserung der Erreichbarkeit des nordöstlichen Stadtgebietes bei Notfällen durch die Feuerwehr zu schaffen.

 

 

Lübeck 31.05.2010                                                                                          Hansestadt Lübeck
                                                                                                                             Der Bürgermeister
                                                                                                                             Fachbereich 5 – Planen und Bauen
                                                                                                                             Bereich Stadtplanung

 

 

Informationen
  • Veröffentlicht am:
    01.06.2010
Anlagen