Donnerstag, 08.01.2026

Bekanntmachung B-Plan 24.02.02 -Eutiner Straße/ Friedhofsallee

 

A M T L I C H E   B E K A N N T M A C H U N G

 Bauleitplanung der Hansestadt Lübeck

 

hier:    Bekanntmachung der erneuten öffentlichen Auslegung des Entwurfes des Bebauungsplanes 24.02.02 – Eutiner Straße / Friedhofsallee – nach § 3 (2) BauGB

 

Nach dem ursprünglichen Satzungsbeschluss der Bürgerschaft vom 27.11.2008 über den Bebauungsplan 24.02.02 – Eutiner Straße / Friedhofsallee – haben sich Änderungen in den angestrebten Festsetzungen ergeben (u.a. eine Vergrößerung des Baufeldes), die eine erneute Auslegung des Entwurfes des Bebauungsplanes nach § 3 (2) BauGB erfordern.

 

Der vom Bauausschuss der Hansestadt Lübeck am 06.09.2010 gebilligte und zur Auslegung bestimmte Entwurf des Bebauungsplanes 24.02.02 – Eutiner Straße / Friedhofsallee – bestehend aus der Planzeichnung – Teil A – und dem Text – Teil B –, und die dazugehörige Begründung liegen daher in der Zeit vom 27.09.2010 bis einschließlich 27.10.2010 montags bis mittwochs jeweils von 08.00 bis 15.00 Uhr, donnerstags von 08.00 – 18.00 Uhr sowie freitags von 08.00 bis 12.00 Uhr im Fachbereich Planen und Bauen der Hansestadt Lübeck, Bereich Stadtplanung, Mühlendamm 12 – i-Punkt / Foyer (Erdgeschoss) öffentlich aus.

 

Der o. g. Bebauungsplan wird gem. § 13 a BauGB im beschleunigten Verfahren ohne Durchführung einer Umweltprüfung nach § 2 (4) BauGB aufgestellt.

 

Während der Auslegungsfrist können alle an der Planung Interessierten die Planunterlagen einsehen sowie Stellungnahmen hierzu schriftlich oder während der Servicezeiten zur Niederschrift abgeben. Nicht fristgerecht abgegebene Stellungnahmen können bei der Beschlussfassung über den Bebauungsplan unberücksichtigt bleiben, wenn die Hansestadt Lübeck den Inhalt nicht kannte und nicht hätte kennen müssen und deren Inhalt für die Rechtmäßigkeit des Bebauungsplanes nicht von Bedeutung ist.

Einwendungen, die im Rahmen der Auslegung nicht oder verspätet geltend gemacht werden, aber hätten fristgerecht geltend gemacht werden können, machen einen Normenkontrollantrag nach § 47 Verwaltungsgerichtsordnung unzulässig.

 

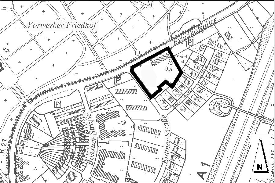
Der räumliche Geltungsbereich dieses Bebauungsplanes liegt im Norden des Stadtteiles St. Lorenz Nord, östlich der Einmündung Eutiner Straße in die Friedhofsallee und umfasst in der Gemarkung St. Lorenz Nord, Flur 6, die Flurstücke 43/83, 43/73, 43/82 und 43/17.

 

 

Übersichtsplan:

siehe in der Anlage unten

 

 

 

 

Durch den vorgenannten Bebauungsplan sollen im Wesentlichen die planungsrechtlichen Voraussetzungen für eine zeitgemäße Nahversorgungseinrichtung durch die Festsetzung eines Sondergebietes mit der Zweckbestimmung Einzelhandel geschaffen werden.

 

 

Lübeck, 13.09.2010                                                                                                       Hansestadt Lübeck
                                                                                                                                           Der Bürgermeister
                                                                                                                                           Fachbereich 5 – Planen und Bauen
                                                                                                                                           Bereich Stadtplanung

Informationen
  • Veröffentlicht am:
    14.09.2010
Anlagen