Donnerstag, 08.01.2026

Öffentlichkeitsbeteiligung für 103. F- und B-Plan-Änderung - Travemünder Landstraße /Ortsteil Pöppendorf -

Bauleitplanung der Hansestadt Lübeck

 

hier:      Öffentliche Unterrichtung und Erörterung der allgemeinen Ziele und Zwecke der Planung zur
              Beteiligung der Öffentlichkeit nach § 3 (1) Satz 1 BauGB für die 103. Flächennutzungsplanänderung
              der Hansestadt Lübeck für den Teilbereich
Travemüder Landstraße / Feuerwache“ im Ortsteil
              Pöppendorf und
den Bebauungsplan - 30.01.00 Travemünder Landstraße / Feuerwache –

 

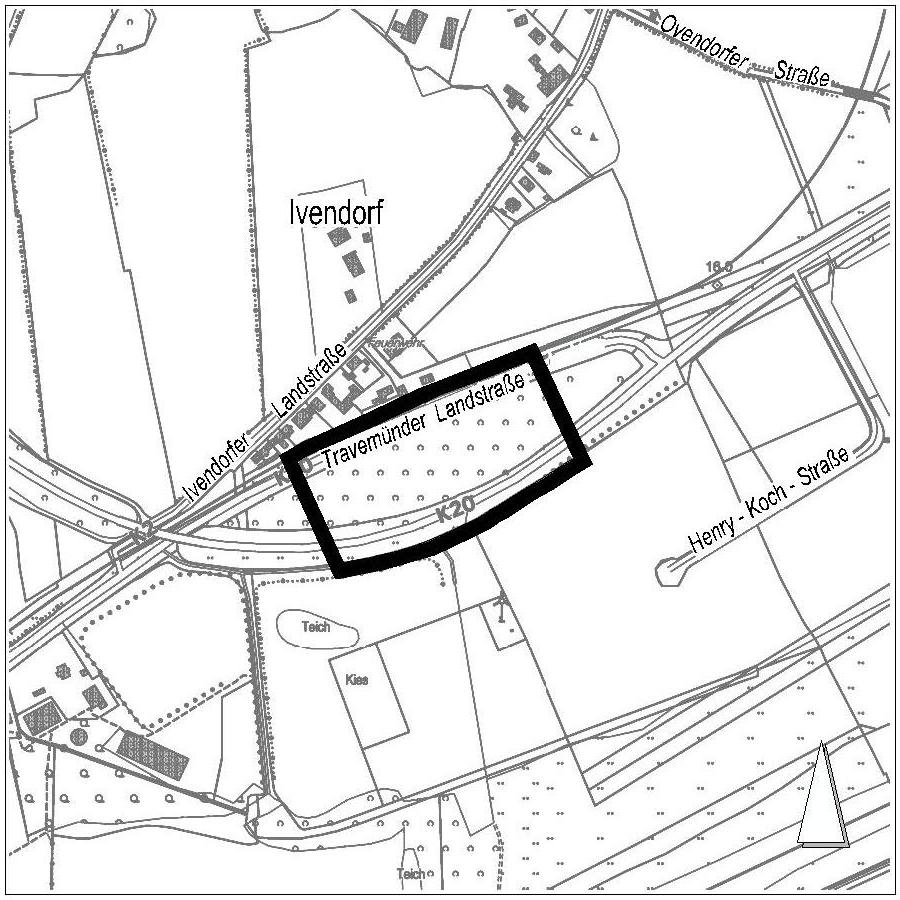
Für die im nachfolgenden Übersichtsplan dargestellte Fläche sollen folgende Bauleitpläne aufgestellt werden:

 

103. Flächennutzungsplanänderung der Hansestadt Lübeck für den Teilbereich „Travemünder Landstraße / Feuerwache“ im Ortsteil Pöppendorf und der Bebauungsplan - 30.01.00 Travemünder Landstraße / Feuerwache –

 

Übersichtsplan:

siehe in der Anlage unten

 

 

 

 

Allgemeine Ziele und Zwecke der Planung

 

Durch die vorgenannte Bauleitplanung sollen im Wesentlichen die planungsrechtlichen Voraussetzungen für die Errichtung einer Feuerwache geschaffen werden.

 

Der Öffentlichkeit wird in der Zeit vom 01.11.2010 bis einschließlich 12.11.2010 montags bis mittwochs jeweils von 8.00 Uhr bis 15.00 Uhr, donnerstags von 8.00 bis 18.00 Uhr sowie freitags von 8.00 bis 12.00 Uhr im Fachbereich Planen und Bauen der Hansestadt Lübeck, Bereich Stadtplanung, Mühlendamm 12 im Foyer (Erdgeschoss), durch Aushang der erarbeiteten Planungsvorstellungen Gelegenheit zu weiterer Information (Ziel, Zweck und Auswirkung der Planung) sowie zur Äußerung und Erörterung gegeben.

 

Die frühzeitige Öffentlichkeitsbeteiligung ist gleichzeitig die Beteiligung der Kinder und Jugendlichen an der Planung gemäß § 47 f der Gemeindeordnung für Schleswig-Holstein (GO).

 

Lübeck,  15.10.2010                                                                                                      Hansestadt Lübeck
                                                                                                                                           Der Bürgermeister
                                                                                                                                           Fachbereich 5 – Planen und Bauen
                                                                                                                                           Bereich Stadtplanung

Informationen
  • Veröffentlicht am:
    26.10.2010
Anlagen