Mittwoch, 17.12.2025

Bekanntmachung der Genehmigung der 35. Änderung des F-Planes für den Teilbereich „Wesloer Straße"

Bauleitplanung der Hansestadt Lübeck

 

hier:  Bekanntmachung der Genehmigung der 35. Änderung des Flächennutzungsplanes der Hansestadt
          Lübeck für den Teilbereich „Wesloer Straße“ im Stadtteil Schlutup nach § 6 (5) BauGB

 

Das Innenministerium des Landes Schleswig-Holstein hat die von der Bürgerschaft der Hansestadt Lübeck am 30.09.2010 beschlossene 35. Änderung des Flächennutzungsplanes der Hansestadt Lübeck für den Teilbereich „Wesloer Straße“ im Stadtteil Schlutup mit Bescheid vom 24.01.2011 Az.: IV 265-512.111-3 (35.Ä.) nach § 6 (1) BauGB genehmigt.

Die Erteilung der Genehmigung wird hiermit bekannt gemacht.

 

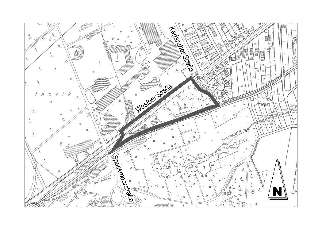
Übersichtsplan

 (siehe in der Anlage unten)

 

 

 

 

Alle Interessierten können die 35. Änderung des Flächennutzungsplanes, die Begründung und die zusammenfassende Erklärung im Fachbereich Planen und Bauen, Bereich Stadtplanung der Hansestadt Lübeck, Mühlendamm 12, auf Dauer während der Servicezeiten einsehen und über den Inhalt Auskunft erhalten.

Beachtliche Verletzungen der in § 214 Abs. 1 Satz 1 Nr. 1 bis 3 BauGB bezeichneten Verfahrens- und Formvorschriften sowie der in § 214 Abs. 2 BauGB bezeichneten Vorschriften werden unbeachtlich, wenn sie nicht innerhalb eines Jahres seit dieser Bekanntmachung schriftlich gegenüber der Hansestadt Lübeck geltend gemacht worden sind. Dasselbe gilt für die nach § 214 Abs. 3 Satz 2 BauGB beachtlichen Mängel des Abwägungsvorgangs. Dabei ist der Sachverhalt, der die Verletzung oder den Mangel begründen soll, darzulegen (§ 215 Abs. 1 BauGB).

 

 

Lübeck, 21.02.2011                                                                                                           Hansestadt Lübeck
                                                                                                                                               Der Bürgermeister
                                                                                                                                               Fachbereich Planen und Bauen
                                                                                                                                               Bereich Stadtplanung

 

 

Informationen
  • Veröffentlicht am:
    22.02.2011
Anlagen