Sonntag, 19.10.2025

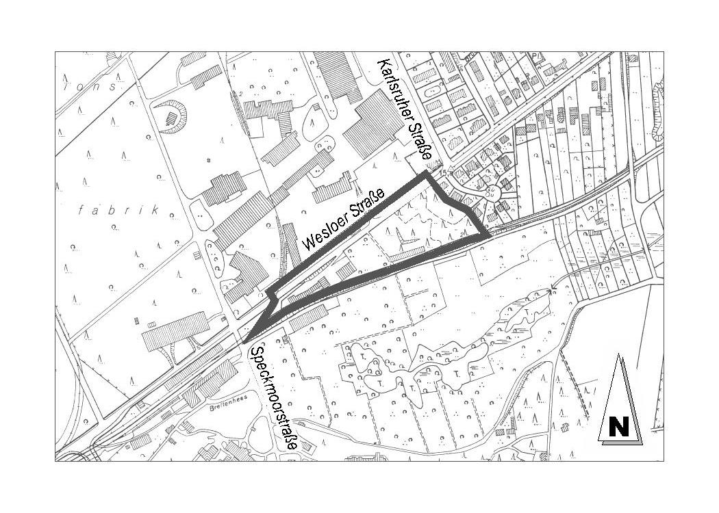
Bekanntmachung des Bebauungsplanes 26.38.00 – Wesloer Straße 113 - 117

Bauleitplanung der Hansestadt Lübeck

hier:    Bekanntmachung des Bebauungsplanes 26.38.00 – Wesloer Straße 113 - 117 – nach § 10 (3) BauGB

 

Die Bürgerschaft der Hansestadt Lübeck hat in ihrer Sitzung am 30.09.2010 den Bebauungsplan 26.38.00 – Wesloer Straße 113 - 117 – bestehend aus der Planzeichnung (Teil A) und dem Text (Teil B), als Satzung beschlossen.

 

Dieses wird hiermit bekannt gemacht.

 

 

Übersichtsplan:
(siehe in der Anlage unten)

 

 

 

 

 

Der v. g. Bebauungsplan tritt mit Beginn des 30.11.2011 in Kraft. Alle Interessierten können den Bebauungsplan, die Begründung und die zusammenfassende Erklärung dazu von diesem Tage an auf Dauer im Fachbereich Planen und Bauen, Bereich Stadtplanung der Hansestadt Lübeck, Mühlendamm 12, während der Servicezeiten einsehen und über den Inhalt Auskunft erhalten.

 

Beachtliche Verletzungen der in § 214 Abs. 1 Satz 1 Nr. 1 bis 3 BauGB bezeichneten Verfahrens- und Formvorschriften sowie der in § 214 Abs. 2 BauGB bezeichneten Vorschriften werden unbeachtlich, wenn sie nicht innerhalb eines Jahres seit dieser Bekanntmachung schriftlich gegenüber der Hansestadt Lübeck geltend gemacht worden sind. Dasselbe gilt für die nach § 214 Abs. 3 Satz 2 BauGB beachtlichen Mängel des Abwägungsvorgangs. Dabei ist der Sachverhalt, der die Verletzung oder den Mangel begründen soll, darzulegen (§ 215 Abs. 1 BauGB).

 

Auf die Vorschriften des § 44 Abs. 3 Satz 1 und 2 sowie Abs. 4 BauGB über die fristgemäße Geltendmachung etwaiger Entschädigungsansprüche für Eingriffe durch diesen Bebauungsplan in eine bisher zulässige Nutzung und über das Erlöschen von Entschädigungsansprüchen wird hingewiesen.

 

Unbeachtlich ist ferner eine Verletzung der in § 4 Abs. 3 GO bezeichneten landesrechtlichen Formvorschriften über die Ausfertigung und Bekanntmachung der Bebauungsplansatzung sowie eine Verletzung von Verfahrens- und Formvorschriften der Gemeindeordnung, wenn sie nicht schriftlich innerhalb eines Jahres seit Bekanntmachung der Satzung gegenüber der Hansestadt Lübeck unter Bezeichnung der verletzten Vorschrift und der Tatsache, die die Verletzung ergibt, geltend gemacht worden ist.

 

 

Lübeck, 28.11.2011                                                                                                       Hansestadt Lübeck
                                                                                                                                           Der Bürgermeister
                                                                                                                                           Fachbereich 5 – Planen und Bauen
                                                                                                                                           Bereich Stadtplanung

Informationen
  • Veröffentlicht am:
    29.11.2011
Anlagen