Donnerstag, 27.11.2025

Bauleitplanung der Hansestadt Lübeck

AMTLICHE  BEKANNTMACHUNG

Bauleitplanung der Hansestadt Lübeck

Bebauungsplan 09.75.00 – Falkenhusener Weg/ Libellenweg –

hier:         Beteiligung der Öffentlichkeit gemäß § 3 Abs. 2 Baugesetzbuch (BauGB) in der Zeit vom 04.08.2025 bis einschließlich 05.09.2025

 

Der Bauausschuss der Hansestadt Lübeck hat am 16.06.2025 die Veröffentlichung des Entwurfs des Bebauungsplans 09.75.00 – Falkenhusener Weg/ Libellenweg – und der zugehörigen Begründung gemäß § 3 Abs. 2 BauGB beschlossen.

Der Bebauungsplan wird gemäß § 13a BauGB im beschleunigten Verfahren ohne Durchführung einer Umweltprüfung gemäß § 2 Abs. 4 BauGB aufgestellt.

Das Plangebiet liegt im Stadtteil St. Jürgen Stadtbezirk Strecknitz/ Rothebek. Es umfasst das Flurstück 93, Flur 6 der Gemarkung Strecknitz.

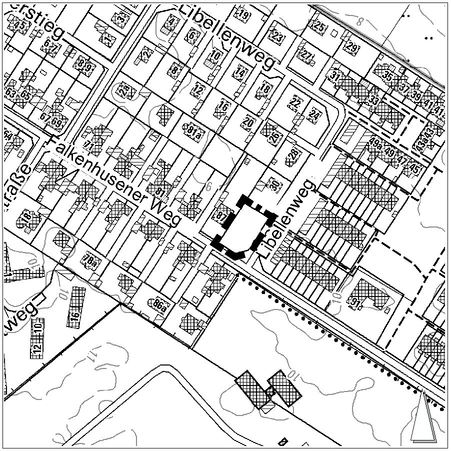
Begrenzt wird das ca. 775 m² große Plangebiet durch den Libellenweg und den Falkenhusener Weg sowie die Grundstücke Falkenhusener Weg 87 und Libellenweg 30.

Die detaillierte Abgrenzung des Geltungsbereichs zeigt der Übersichtsplan.

Übersichtsplan
siehe Anlage

Mit der Aufstellung des Bebauungsplanes 09.75.00 Falkenhusener Weg/ Libellenweg sollen die planungsrechtlichen Voraussetzungen für die Realisierung von zwei freistehenden Einfamilienhäusern geschaffen werden.

Die Veröffentlichung des Planentwurfs gemäß § 3 Abs. 2 BauGB erfolgt vom 04.08.2025 bis einschließlich 05.09.2025 auf den Internetseiten der Hansestadt Lübeck mit der Möglichkeit zum Download der Unterlagen unter: https://www.luebeck.de/bebauungsplaene

Verfügbar sind in dieser Zeit der Entwurf des Bebauungsplans, bestehend aus der Planzeichnung – Teil A – und dem Text – Teil B –, sowie die zugehörige Begründung.

Zusätzlich werden die Unterlagen zur Einsichtnahme im Bürgerservicebereich des Fachbereichs Planen und Bauen, Mühlendamm 10, 23552 Lübeck zu folgenden Öffnungszeiten ausgelegt:

montags bis mittwochs jeweils 8.00 - 15.00 Uhr, donnerstags 8.00 - 18.00 Uhr und freitags 8.00 - 12.00 Uhr sowie nach vorheriger telefonischer Vereinbarung (zuständige Sachbearbeiterin Tel.: 0451-122 6138 oder per E-Mail: bebauungsplanung@luebeck.de).

Während der Veröffentlichungsfrist können alle an der Planung Interessierten die Planunterlagen einsehen sowie Stellungnahmen hierzu vorzugsweise per E-Mail (bebauungsplanung@luebeck.de), per Post (Hansestadt Lübeck, Bereich Stadtplanung und Bauordnung, Mühlendamm 12, 23552 Lübeck) oder während eines vereinbarten Termins zur Niederschrift abgeben.

Nicht fristgerecht abgegebene Stellungnahmen können bei der Beschlussfassung über den Bebauungsplan unberücksichtigt bleiben, wenn die Hansestadt Lübeck den Inhalt nicht kannte und nicht hätte kennen müssen und deren Inhalt für die Rechtmäßigkeit des Bebauungsplans nicht von Bedeutung ist.

Die Verarbeitung personenbezogener Daten erfolgt auf der Grundlage von Artikel 6 Absatz 1 Buchstabe e der Datenschutzgrundverordnung (DSGVO) in Verbindung mit § 3 BauGB und dem Landesdatengesetz. Sofern Sie ihre Stellungnahme ohne Absenderangabe abgeben, erhalten Sie keine Mitteilung über das Ergebnis der Prüfung. Weitere Informationen entnehmen Sie bitte dem Informationsblatt „Informationspflichten bei der Erhebung von Daten im Rahmen der Öffentlichkeitsbeteiligung nach dem BauGB (Artikel 13 DSGVO)“, das mit ausliegt.

 

Lübeck, 01.08.2025                                                    

Hansestadt Lübeck
Der Bürgermeister
Fachbereich 5 – Planen und Bauen
Bereich Stadtplanung und Bauordnung

Informationen
  • Veröffentlicht am:
    03.08.2025
Anlagen