Dienstag, 03.03.2026

Bauleitplanung der Hansestadt Lübeck

AMTLICHE  BEKANNTMACHUNG
Bauleitplanung der Hansestadt Lübeck

Bebauungsplan 19.03.00 – Niendorf / Holzkoppel –

hier:

Weiterführung des Bebauungsplanverfahrens gemäß § 215a Abs. 1 Baugesetzbuch (BauGB) sowie erneute Beteiligung der Öffentlichkeit gemäß § 3 Abs. 2 BauGB in der Zeit vom 17.06.2024 bis einschließlich 19.07.2024

Der Bauausschuss der Hansestadt Lübeck hat am 03.06.2024 die Weiterführung des Verfahrens für den Bebauungsplan 19.03.00 – Niendorf / Holzkoppel – gemäß § 215a Abs. 1 BauGB sowie die Beteiligung der Öffentlichkeit gemäß § 3 Abs. 2 BauGB beschlossen.

Das Bebauungsplanverfahren wurde bislang auf der Grundlage des § 13b BauGB im beschleunigten Verfahren ohne Durchführung einer Umweltprüfung und ohne Beachtung der Regelung zum Ausgleich aufgestellt. Gemäß Rechtsprechung des Bundesverwaltungsgerichts verstößt dieses Vorgehen gegen EU-Recht, sodass nach § 13b BauGB begonnene Bebauungsplanverfahren nicht auf dieser Rechtsgrundlage abgeschlossen werden können. Der nachfolgend in das Baugesetzbuch aufgenommene § 215a BauGB ermöglicht es, solche Bebauungsplanverfahren unter bestimmten Voraussetzungen bis zum 31.12.2024 im beschleunigten Verfahren nach § 13a BauGB zum Satzungsbeschluss zu bringen. Hierzu ist der der Bebauungsplan 19.03.00 gemäß § 215a Abs. 1 BauGB für die erneute Beteiligung der Öffentlichkeit gemäß § 3 Abs. 2 BauGB und der Behörden gemäß § 4 Abs. 2 BauGB um die Umweltprüfung nach § 2 Abs. 4 BauGB, den Umweltbereich nach § 2a BauGB und die Anwendung der naturschutzrechtlichen Eingriffsregelung nach § 1a Abs. 3 BauGB ergänzt worden.

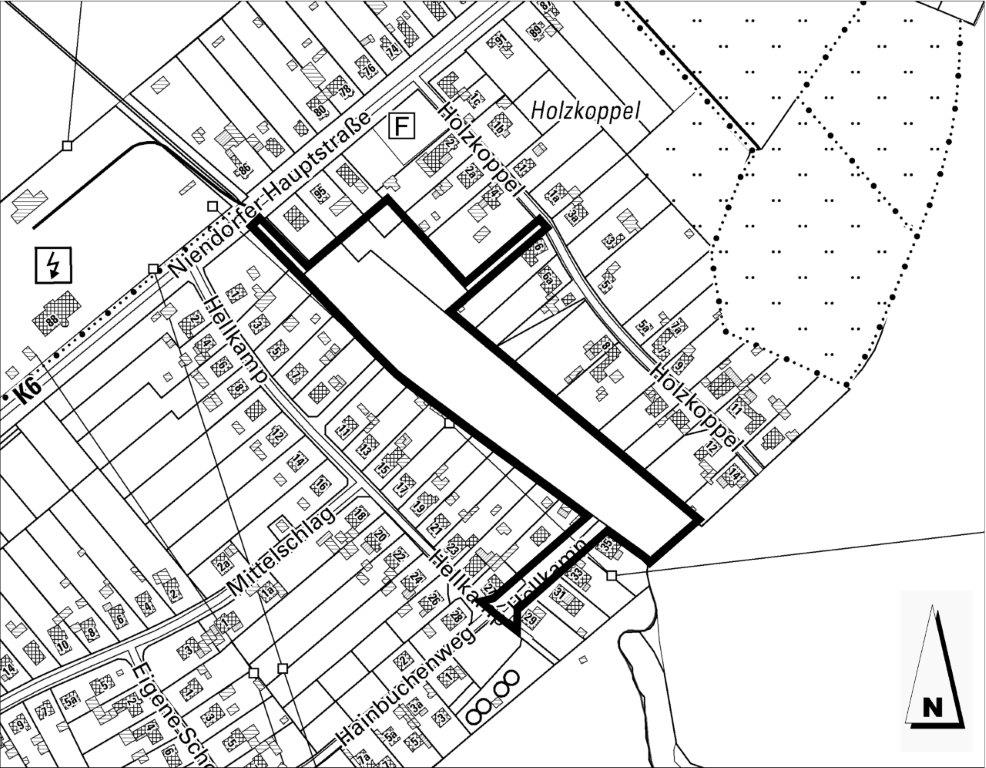
Das Plangebiet des aufzustellenden Bebauungsplans liegt im Stadtteil Moisling, Ortsteil Nien­dorf / Moorgarten, südöstlich der Grundstücke Niendorfer Hauptstraße 93 b – 97 a zwischen den Straßen Holzkoppel und Hellkamp sowie entlang der Grundstücke Hellkamp 29 bis 35 als Überplanungsbereich des Bebauungsplanes 19.01.00 – Hellkamp –.

Begrenzt wird das ca. 1,65 ha große Plangebiet wie folgt:

  • im Nordosten durch die rückwärtigen Gartengrundstücke der Wohnbebauung entlang der Straße Holzkoppel,
  • im Nordwesten durch die rückwärtigen Gartengrundstücke der Grundstücke Niendorfer Hauptstraße 93 b – 97 a,
  • im Südwesten durch die rückwärtigen Gartengrundstücke der Wohnbebauung entlang der Straße Hellkamp und der Niendorfer Hauptstraße sowie
  • im Südosten durch eine landwirtschaftliche Fläche.

Die detaillierte Abgrenzung des Geltungsbereichs zeigt der Übersichtsplan.

Übersichtsplan
siehe Anlage

Mit der Aufstellung des Bebauungsplans 19.03.00 – Niendorf / Holzkoppel – sollen die planungsrechtlichen Voraussetzungen für die Entwicklung eines neuen Wohnquartiers in Niendorf geschaffen werden.

Die Veröffentlichung des Planentwurfs gemäß § 3 Abs. 2 BauGB erfolgt vom 17.06.2024 bis einschließlich 19.07.2024 auf den Internetseiten der Hansestadt Lübeck mit der Möglichkeit zum Download der Unterlagen unter: https://www.luebeck.de/bebauungsplaene.
Verfügbar sind in dieser Zeit der Entwurf des Bebauungsplans, bestehend aus der Planzeichnung – Teil A – und dem Text – Teil B –, die zugehörige Begründung mit Umweltbericht sowie die wesentlichen bereits vorliegenden umweltbezogenen Informationen und Stellungnahmen.

Zusätzlich werden die Unterlagen zur Einsichtnahme im Foyer des Fachbereichs Planen und Bauen, Mühlendamm 12 zu folgenden Öffnungszeiten ausgelegt:
montags bis mittwochs jeweils 8.00 - 15.00 Uhr, donnerstags 8.00 - 18.00 Uhr und freitags 8.00 - 12.00 Uhr sowie nach vorheriger telefonischer Vereinbarung (zuständige Sachbearbeiterin Tel.: 0451-122 6154 oder per E-Mail: bebauungsplanung@luebeck.de).

Umweltbezogene Informationen und Stellungnahmen sind in Form des Umweltberichts zum Bauleitplan (Kapitel 6 der Begründungen), als Fachgutachten sowie als Stellungnahmen der beteiligten Fachbehörden und sonstigen Träger öffentlicher Belange zu folgenden Themen verfügbar und liegen mit aus:

  • Schutzgut Boden: vorhandene Bodenverhältnisse einschließlich Informationen zu Altlasten und sonstigen Bodenverunreinigungen sowie zu möglichen Kampfmittelfunden; vorhandene und künftige Bodenversiegelung; Maßnahmen zur Eingriffsminderung und zum Ausgleich
  • Schutzgut Wasser (Oberflächenwasser und Grundwasser): Grundwasserspiegel und ‑fließrichtung; Auswirkungen der geplanten Neubebauung auf die Grundwasserneubildung; Entwässerungskonzeption mit Maßnahmen zur Rückhaltung, Versickerung und verzögerten Einleitung von Niederschlagswasser
  • Schutzgut Klima und Luft: mikroklimatische Ausgangssituation und zu erwartende Veränderungen; Maßnahmen zur Minderung lokalklimatischer Auswirkungen der Neubebauung
  • Schutzgüter Pflanzen und Tiere einschließlich Arten- und Lebensgemeinschaften sowie biologische Vielfalt und Artenschutz: vorhandener Vegetationsbestand und Biotoptypen, Bewertung der Vegetationsstrukturen; Vorkommen geschützter Arten und Auswirkungen der Planung auf diese Arten, hier insbesondere auf Haselmäuse, Fledermäuse, Brutvögel, Maulwurf einschließlich Maßnahmen zur Vermeidung von Lebensraumverlusten sowie zur Minderung sonstiger nachteiliger Auswirkungen;
  • Landschaftsbild: Beschreibung und Bewertung des Landschaftsbildes, voraussichtliche Veränderungen durch die Neubebauung und Maßnahmen zur Vermeidung und Minderung nachteiliger Auswirkungen
  • Eingriffs-Ausgleichs-Bilanzierung für die vorgenannten Schutzgüter als Grundlage für die Abwägung sowie für die Festsetzung von Ausgleichsmaßnahmen im Bebauungsplan und für vertragliche Regelungen zum Ausgleich (auch außerhalb des Plangebietes)
  • Schutzgut Mensch einschließlich menschlicher Gesundheit: Lärmbelastung der vorhandenen und geplanten Bebauung durch den Verkehr auf umliegenden Straßen; Ermittlung und Bewertung zusätzlicher Lärmbelastungen benachbarter Wohnnutzungen durch planungsbedingte Neuverkehre, Ermittlung und Bewertung der Lärmbelastung künftiger Bewohner des Baugebietes; Verbindung vorhandener Hauptwanderwege nordöstlich und südlich des Plangebietes durch Schaffung neuer öffentlicher Grünflächen und Herstellung neuer Wegeverbindungen
  • Kultur- und sonstige Sachgüter: Hinweis auf archäologische Funde im Umfeld des Plangebietes und mögliche Funde im Plangebiet
  • Aussagen zu Wechselbeziehungen und –wirkungen zwischen den Schutzgütern
  • Aussagen zum Monitoring

Während der Veröffentlichungsfrist können alle an der Planung Interessierten die Planunterlagen einsehen sowie Stellungnahmen hierzu vorzugsweise per E-Mail (bebauungsplanung@luebeck.de), schriftlich (Hansestadt Lübeck, Bereich Stadtplanung und Bauordnung, Mühlendamm 12, 23552 Lübeck) oder während eines vereinbarten Termins (Tel.: 0451-122 6154) zur Niederschrift abgeben.
Nicht fristgerecht abgegebene Stellungnahmen können bei der Beschlussfassung über den Bebauungsplan unberücksichtigt bleiben, wenn die Hansestadt Lübeck den Inhalt nicht kannte und nicht hätte kennen müssen und deren Inhalt für die Rechtmäßigkeit des Bebauungsplans nicht von Bedeutung ist.

Die Verarbeitung personenbezogener Daten erfolgt auf der Grundlage von Artikel 6 Absatz 1 Buchstabe e der Datenschutzgrundverordnung (DSGVO) in Verbindung mit § 3 BauGB und dem Landesdatengesetz. Sofern Sie ihre Stellungnahme ohne Absenderangabe abgeben, erhalten Sie keine Mitteilung über das Ergebnis der Prüfung. Weitere Informationen entnehmen Sie bitte dem Informationsblatt „Informationspflichten bei der Erhebung von Daten im Rahmen der Öffentlichkeitsbeteiligung nach dem BauGB (Artikel 13 DSGVO)“, das mit ausliegt.

Lübeck, 07.06.2024            

Hansestadt Lübeck
Der Bürgermeister
Fachbereich 5 - Planen und Bauen
Bereich Stadtplanung und Bauordnung                                                  

Informationen
  • Veröffentlicht am:
    09.06.2024
Anlagen