Mittwoch, 22.04.2026

Bauleitplanung der Hansestadt Lübeck

AMTLICHE  BEKANNTMACHUNG

Bauleitplanung der Hansestadt Lübeck
Bebauungsplan 11.03.00 – Wulfsdorf / Karkfeld –

hier:         Bekanntmachung des erneuten Aufstellungsbeschlusses gemäß § 2 Abs. 1 Satz 2 und § 13 b Baugesetzbuch (BauGB)

Der Bauausschuss der Hansestadt Lübeck hat in seiner Sitzung am 19.12.2022 die erneute Aufstellung des Bebauungsplans 11.03.00 – Wulfsdorf / Karkfeld – beschlossen.

Der am 04.11.2019 gefasste Beschluss zur Aufstellung des Bebauungsplans 11.03.00 – Wulfsdorf / Karkfeld – wurde unter ausdrücklicher Bezugnahme auf § 13b BauGB in der seit dem 14.06.2021 geltenden Fassung erneuert. Gemäß § 13 Abs. 3 BauGB i.V.m. § 13a Abs. 2 Nr. 1 BauGB und § 13b S.1 BauGB wird im beschleunigten Verfahren von der Umweltprüfung nach § 2 Abs. 4 BauGB abgesehen.

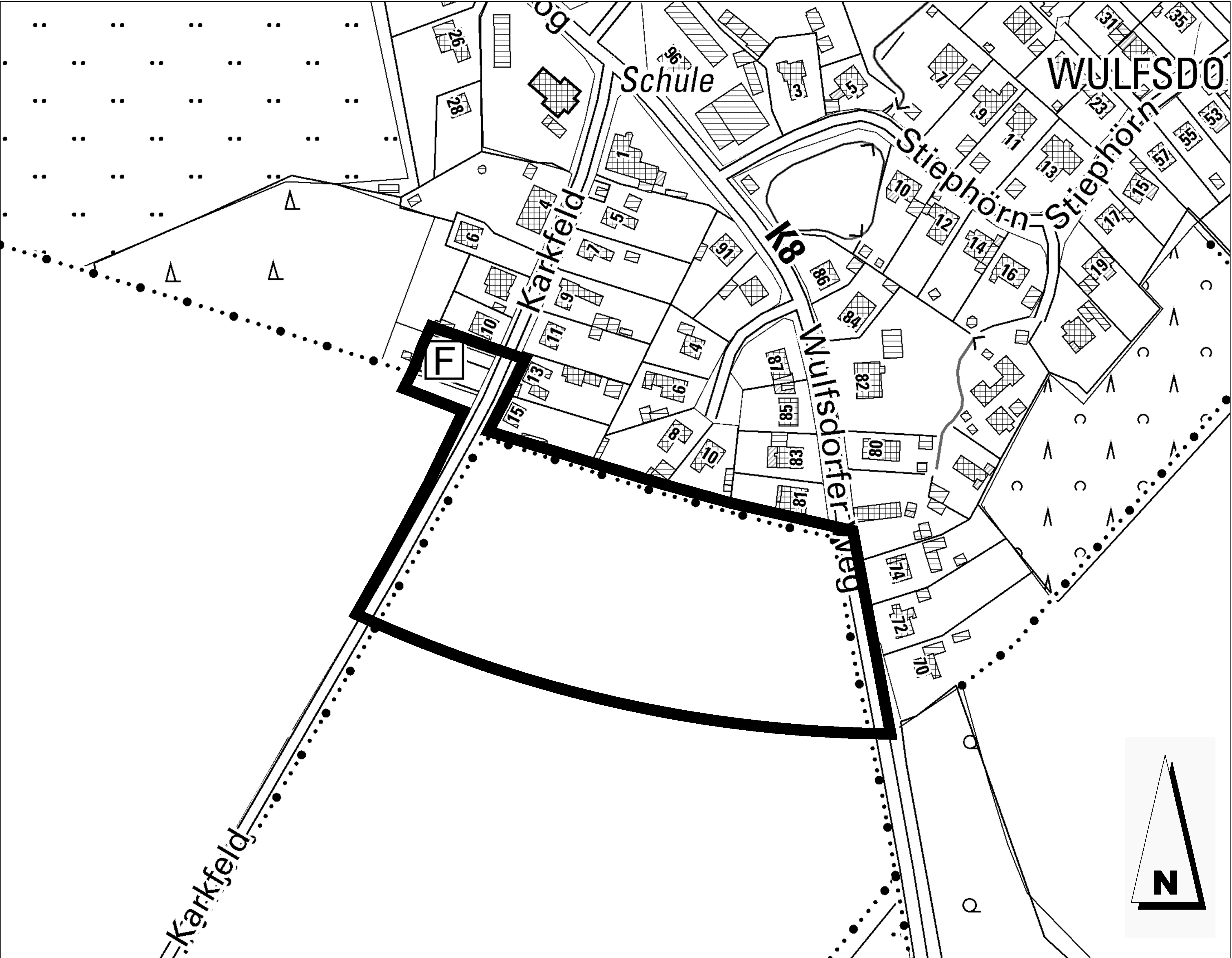
Das Plangebiet des Bebauungsplans 11.03.00 – Wulfsdorf / Karkfeld – liegt im Stadtteil Lübeck-St. Jürgen im Dorf Wulfsdorf angrenzend an den südlichen Ortsrand von Wulfsdorf zwischen den Straßen Karkfeld und Wulfsdorfer Weg. Der räumliche Geltungsbereich wurde aufgrund einer Reduzierung der geplanten Wohneinheiten mit Beschluss vom 19.12.2022 angepasst.

Die detaillierte Abgrenzung des Geltungsbereichs zeigt der Übersichtsplan.

Mit der Aufstellung des Bebauungsplans sollen im Wesentlichen die planungsrechtlichen Voraussetzungen für die Schaffung eines Wohngebiets zur Bebauung mit freistehenden Einzelhäusern, Doppelhäusern und Reihenhäusern geschaffen werden.

Übersichtsplan
siehe Anlage

 

Lübeck, 23.12.2022                                                   Hansestadt Lübeck
                                                                                     Der Bürgermeister
                                                                                     Fachbereich 5 – Planen und Bauen
                                                                                     Bereich Stadtplanung und Bauordnung

                                                                                   

Informationen
  • Veröffentlicht am:
    21.12.2022
Anlagen