Mittwoch, 22.04.2026

Bauleitplanung der Hansestadt Lübeck

AMTLICHE  BEKANNTMACHUNG

Bauleitplanung der Hansestadt Lübeck 

Bebauungsplan 09.75.00 – Falkenhusener Weg / Libellenweg -

hier:    1.            Bekanntmachung des Aufstellungsbeschlusses gemäß § 2 Abs. 1 Satz 2
                           und § 13 a Baugesetzbuch (BauGB)
            2.            Frühzeitige Beteiligung der Öffentlichkeit gemäß § 3 Abs. 1 BauGB
                           in der Zeit vom 17.11.2022 bis einschließlich 02.12.2022
 

Der Bauausschuss der Hansestadt Lübeck hat am 19.09.2022 beschlossen, dass für das nachfolgend dargestellte Gebiet der Bebauungsplan 09.75.00 – Falkenhusener Weg / Libellenweg – als Bebauungsplan der Innenentwicklung im beschleunigten Verfahren nach § 13 a BauGB aufgestellt wird. Eine Umweltprüfung gemäß § 2 Abs. 4 BauGB wird nicht durchgeführt.

Dieser Beschluss wird hiermit bekannt gemacht.

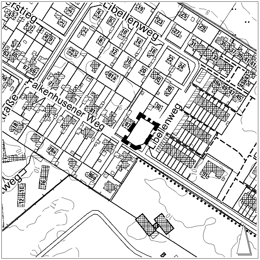
Das Plangebiet des aufzustellenden Bebauungsplans 09.75.00 – Falkenhusener Weg / Libellenweg – liegt im Stadtteil St. Jürgen Stadtbezirk Strecknitz / Rothebek. Es umfasst das Flurstück 93, Flur 6 der Gemarkung Strecknitz.

Begrenzt wird das ca. 775 m² große Plangebiet durch den Libellenweg und den Falkenhusener Weg sowie die Grundstücke Falkenhusener Weg 87 und Libellenweg 30.

Die detaillierte Abgrenzung des Geltungsbereichs zeigt der Übersichtsplan.

Übersichtsplan
siehe Anlage

Allgemeine Ziele und Zwecke der Planung
Mit der Aufstellung des Bebauungsplans 09.75.00 – Falkenhusener Weg / Libellenweg – sollen die planungsrechtlichen Voraussetzungen für die Realisierung von zwei freistehenden Einfamilienhäusern geschaffen werden. Der Öffentlichkeit wird in der Zeit vom 17.11.2022 bis einschließlich 02.12.2022 über folgende Beteiligungen Gelegenheit zur Information über Ziel, Zweck und Auswirkung der Planung sowie zur Erörterung und Stellungnahme gegeben:

  • Internetseiten der Hansestadt Lübeck mit der Möglichkeit zum Download der Unterlagen unter: https://www.luebeck.de/bebauungsplaene
  • Aushang im Foyer des Fachbereichs Planen und Bauen, Mühlendamm 12, 23552 Lübeck zu folgenden Öffnungszeiten: montags bis mittwochs jeweils 8.00 - 15.00 Uhr, donnerstags 8.00 - 18.00 Uhr und freitags 8.00 - 12.00 Uhr sowie nach vorheriger telefonischer Vereinbarung – zuständige Sachbearbeiterin Tel.: 0451-122 6138 oder per E-Mail: bebauungsplanung@luebeck.de.

Aktuell bestehen keine Einschränkungen des Publikumsverkehrs aufgrund der Corona-Pandemie. Bitte informieren Sie sich über eine ggf. während der Beteiligungsfrist gültige Corona-Bekämpfungsverordnung des Landes Schleswig-Holstein und Allgemeinverfügungen der Hansestadt Lübeck. Diese können Sie dann auf der Internetseite unter https://www.luebeck.de nachlesen.

Während dieser Frist können alle an der Planung Interessierten die Planunterlagen einsehen sowie Stellungnahmen hierzu vorzugsweise per E-Mail (bebauungsplanung@luebeck.de), schriftlich (Hansestadt Lübeck, Bereich Stadtplanung und Bauordnung, Mühlendamm 12, 23552 Lübeck) oder während eines vereinbarten Termins (Tel.: 0451-122 6138) zur Niederschrift abgeben.

Im weiteren Verfahren ist eine öffentliche Auslegung gemäß § 3 Abs. 2 BauGB vorgesehen. Die Öffentlichkeit erhält erneut die Gelegenheit zur Erörterung und Stellungnahme. Hierzu wird eine gesonderte Bekanntmachung erfolgen.

Die frühzeitige Öffentlichkeitsbeteiligung ist gleichzeitig die Beteiligung der Kinder und Jugendlichen an der Planung gemäß § 47 f der Gemeindeordnung für Schleswig-Holstein (GO).

Die Verarbeitung personenbezogener Daten erfolgt auf der Grundlage von Artikel 6 Absatz 1 Buchstabe e der Datenschutzverordnung (DSGVO) in Verbindung mit § 3 BauGB und dem Landesdatengesetz. Sofern Sie ihre Stellungnahme ohne Absenderabgabe abgeben, erhalten Sie keine Mitteilung über das Ergebnis der Prüfung. Weitere Informationen entnehmen Sie bitte dem Informationsblatt „Informationspflichten bei der Erhebung von Daten im Rahmen der Öffentlichkeitsbeteiligung nach dem BauGB (Artikel 13 DSGVO)“, das mit ausliegt.

 

Lübeck, 11.11.2022                                                     Hansestadt Lübeck
                                                                                    Der Bürgermeister
                                                                                    Fachbereich 5 – Planen und Bauen
                                                                                    Bereich Stadtplanung und Bauordnung

Informationen
  • Veröffentlicht am:
    13.11.2022
Anlagen