Donnerstag, 23.04.2026

Bebauungsplan 07.32.00 – Schlutuper Straße / Lauerhofer Feld

Bauleitplanung der Hansestadt Lübeck
Bebauungsplan 07.32.00 – Schlutuper Straße / Lauerhofer Feld – 

hier: Änderung des Aufstellungsbeschlusses und erneute öffentliche Auslegung gemäß § 4a Abs. 3 i. V. m. § 3 Abs. 2 Baugesetzbuch (BauGB) 

Der Bauausschuss der Hansestadt Lübeck hat am 01.11.2021 die Änderung des Aufstellungsbeschlusses vom 19.09.2016 und die erneute öffentliche Auslegung des Entwurfes des Bebauungsplans 07.32.00 – Schlutuper Straße / Lauerhofer Feld – gemäß § 4a Abs. 3 BauGB beschlossen.

Anlass für die Änderung des Aufstellungsbeschlusses vom 19.09.2016 ist eine Verkleinerung des Geltungsbereichs durch die Herausnahme des geplanten Zentrums für Hospizarbeit und Palliativmedizin. Die Planung für das betreffende Grundstück wird zu einem späteren Zeitpunkt fortgeführt.

Anlass für die erneute Öffentlichkeitsbeteiligung sind Änderungen die aus der Überarbeitung des wasserwirtschaftlichen Begleitplanes, des landschaftsplanerischen Fachbeitrages und der Differenzierung des Verkehrskonzeptes für die Umgestaltung der Schlutuper Allee im Geltungsbereich des Bebauungsplanes resultieren.

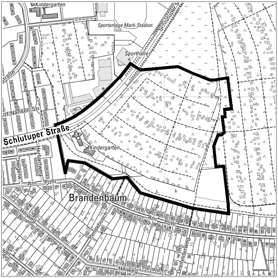
Das Plangebiet liegt etwa 2,5 km östlich der Lübecker Altstadtinsel im Stadtteil St. Gertrud, Stadtbezirk Marli / Brandenbaum. Es umfasst die Flächen der Kleingartenanlage Lauerholz, Gartenfeld 1 nördlich der St. Philippus Kirche.

Begrenzt wird das ca. 11,5 ha große Plangebiet

  • im Norden durch den geschützten Landschaftsbestandteil Lauerhofer Feld,
  • im Osten durch die verbleibenden Flächen der Kleingarten-anlage Lauerhof,
  • im Süden durch die Gärten der Wohnbebauung an der Straße Am Pohl und
  • im Westen durch die Grundstücke Schlutuper Straße 33, 35 und 37.

Die detaillierten Abgrenzungen zeigt der Übersichtsplan.

Übersichtsplan
siehe Anlage

 

Mit der Aufstellung des Bebauungsplans 07.32.00 - Schlutuper Straße / Lauerhofer Feld - sollen die planungsrechtlichen Voraussetzungen für die Entwicklung einer Wohnsiedlung geschaffen werden.

Die öffentliche Auslegung der Planentwürfe gemäß § 3 Abs. 2 BauGB erfolgt vom 17.11.2021 bis einschließlich 17.12.2021. In dieser Zeit liegen der Entwurf des Bebauungsplans, bestehend aus der Planzeichnung – Teil A – und dem Text – Teil B –, die dazugehörige Begründung sowie die vorliegenden umweltbezogenen Informationen und Stellungnahmen öffentlich aus. 

Es bestehen folgende Möglichkeiten zur Einsichtnahme:

  • Internetseiten der Hansestadt Lübeck mit der Möglichkeit zum Download der Unterlagen unter: www.luebeck.de/bebauungsplaene
  • Aushang im Foyer des Fachbereichs Planen und Bauen, Mühlendamm 12 zu folgenden Öffnungszeiten: montags bis mittwochs jeweils 8.00 - 15.00 Uhr, donnerstags 8.00 - 18.00 Uhr und freitags 8.00 - 12.00 Uhr. 

Umweltbezogene Informationen und Stellungnahmen sind in Form des Umweltberichts zum Bebauungsplan (Kapitel 6 der Begründung), als Fachgutachten sowie als Stellungnahmen der Öffentlichkeit, der beteiligten Fachbehörden und sonstigen Träger öffentlicher Belange zu folgenden Themen verfügbar und liegen mit aus:

  • Schutzgut Mensch, einschließlich menschlicher Gesundheit:
    Schalltechnische Untersuchungen zur Ermittlung und Bewertung der Lärmbelastungen durch Kfz-Verkehr, Gewerbe und Sport auf die geplante Bebauung;Stellungnahmen zum Immissionsschutz;Verkehrskonzept mit Untersuchung der bestehenden sowie der prognostizierten künftigen Verkehrsqualität sowie einem Mobilitätskonzept mit Maßnahmen zu Kfz-, Rad- und Fußgängerverkehr; sowie zum ParkraummanagementStellungnahmen zur Verkehrsplanung, zum Rad- und Fußwegenetz und zum ruhenden Verkehr;
  • Schutzgüter Pflanzen und Tiere/ biologische Vielfalt:
    Beschreibung und Bewertung der vorkommenden Biotoptypen auf Grundlage einer Biotoptypenkartierung;Faunistische Untersuchung und artenschutzrechtliche Prüfung mit Ermittlung relevanter Arten und artenschutzrechtlicher Beurteilung sowie Beschreibung der voraussichtlichen Auswirkungen auf diese Arten durch die Neubebauung;Darstellung von Maßnahmen zur Vermeidung und Minderung nachteiliger Auswirkungen auf die Schutzgüter Pflanzen und Tiere sowie Maßnahmen zum naturschutzfachlichen Ausgleich im Umweltbericht;Stellungnahmen zu vorhandenen Tierarten und zum Artenschutz.
  • Schutzgüter Boden und Wasser:
    Boden- und Altlastenuntersuchungen, Überprüfung auf Kriegsaltlasten durch Stellungnahme des Kampfmittelräumdienstes;Entwässerungskonzeption mit Maßnahmen zur Rückhaltung und verzögerten Einleitung von Niederschlagswasser;Stellungnahmen zur Ableitung und Rückleitung von Niederschlagswasser;Stellungnahmen zur Verringerung der Bodenversiegelung;Darstellung der voraussichtlichen Veränderungen durch die Neubebauung und der Maßnahmen zur Vermeidung und Minderung nachteiliger Auswirkungen auf die Schutzgüter Boden und Wasser im Umweltbericht.
  • Schutzgüter Klima und Luft:
    Konzeptionelle Untersuchungen zur EnergieversorgungBeschreibung der klimatischen Ausgangssituation und Beurteilung der Auswirkungen der Planung im Umweltbericht;Stellungnahmen zur Energieversorgung und zum Energiekonzept;Stellungnahmen zur Dach- und Fassadenbegrünung.
  • Schutzgut Kultur- und Sachgüter: 
    Stellungnahme zu archäologischen Untersuchungserfordernissen.
    Schutzgut Landschaft:Beschreibung und Bewertung des Landschaftsbildes, die Darstellung der voraussichtlichen Veränderungen durch die Neubebauung und Maßnahmen zur Vermeidung und Minderung nachteiliger Auswirkungen Begründung im Umweltbericht. 
  • Wechselwirkungen zwischen den Schutzgütern: 
    Aussagen hierzu sind dem Umweltbericht zu entnehmen. 

Während der Auslegungsfrist können alle an der Planung Interessierten die Planunterlagen einsehen sowie Stellungnahmen hierzu schriftlich (auch per E-Mail), oder während der Servicezeiten zur Niederschrift abgeben. Bei besonderem Erörterungsbedarf oder gewünschter Einsichtnahme außerhalb der o. g. Auslegungszeiten bitten wir um vorherige Terminabsprache mit der zuständigen Sachbearbeiterin Tel.: 0451-122 6138 – in Vertretung 6110 (E-Mail: bebauungsplanung@luebeck.de).

Nicht fristgerecht abgegebene Stellungnahmen können bei der Beschlussfassung über den Bebauungsplan unberücksichtigt bleiben, wenn die Hansestadt Lübeck den Inhalt nicht kannte und nicht hätte kennen müssen und deren Inhalt für die Rechtmäßigkeit des Bebauungsplans nicht von Bedeutung ist.

Die Verarbeitung personenbezogener Daten erfolgt auf der Grundlage von Artikel 6 Absatz 1 Buchstabe e der Datenschutzverordnung (DSGVO) in Verbindung mit § 3 BauGB und dem Landesdatengesetz. Sofern Sie ihre Stellungnahme ohne Absenderangabe abgeben, erhalten Sie keine Mitteilung über das Ergebnis der Prüfung. Weitere Informationen entnehmen Sie bitte dem Informationsblatt „Informationspflichten bei der Erhebung von Daten im Rahmen der Öffentlichkeitsbeteiligung nach dem BauGB (Artikel 13 DSGVO)“, das mit ausliegt.

Lübeck, 05.11.2021

Hansestadt Lübeck
Der Bürgermeister
Fachbereich 5 – Planen und Bauen
Bereich Stadtplanung und Bauordnung

Informationen
  • Veröffentlicht am:
    07.11.2021
Anlagen