Donnerstag, 23.04.2026

Bauleitplanung hier: Öffentliche Auslegung gemäß § 3 Abs. 2 Baugesetzbuch (BauGB)

Bauleitplanung der Hansestadt Lübeck

Bebauungsplan 07.32.00 – Schlutuper Straße / Lauerhofer Feld – und zugehörige 127. Änderung des Flächennutzungsplans (FNP)

hier:         Öffentliche Auslegung gemäß § 3 Abs. 2 Baugesetzbuch (BauGB)

 

Der Bauausschuss der Hansestadt Lübeck hat am 07.12.2020 die öffentliche Auslegung der Entwürfe des Bebauungsplans 07.32.00 – Schlutuper Straße / Lauerhofer Feld – und der zugehörigen 127. Änderung des FNP gemäß § 3 Abs. 2 BauGB beschlossen.

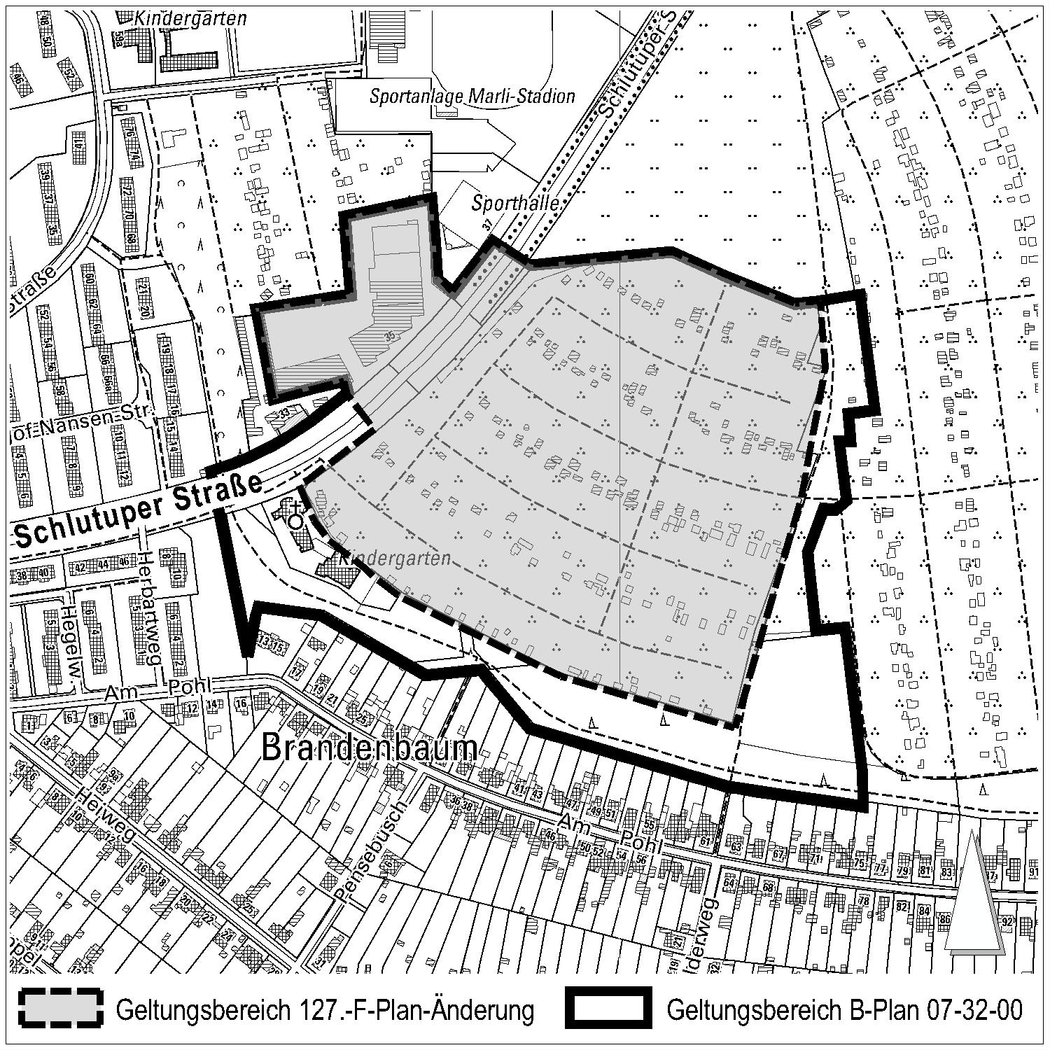
Der zu überplanende Bereich liegt etwa 2,5 km östlich der Lübecker Altstadtinsel im Stadtteil St. Gertrud, Stadtbezirk Marli / Brandenbaum und umfasst im Wesentlichen die Flächen der Kleingartenanlage Lauerholz, Gartenfeld 1 nördlich der St. Philippus Kirche und das Grundstück Schlutuper Straße 35.

Der ca. 13 ha große Geltungsbereich des Bebauungsplans wird wie folgt begrenzt:

  • im Norden durch den geschützten Landschaftsbestandteil Lauerhofer Feld,
  • im Nordwesten durch die jenseits der Schlutuper Straße gelegene Sportanlage des Turn- und Sportvereins von 1893 e.V.,
  • im Osten durch die verbleibenden Flächen der Kleingartenanlage Lauerhof,
  • im Süden durch die Gärten der Wohnbebauung an der Straße Am Pohl und das Tankstellengrundstück
  • im Westen durch die Kleingartenanlage zwischen dem Grünzug in Verbindung zur Albert-Schweitzer-Schule und den Tennisplätzen des TUS Lübeck.

Der räumliche Geltungsbereich der 127. Änderung des Flächennutzungsplans entspricht im Wesentlichen dem Geltungsbereich des Bebauungsplans 07.32.00 - Schlutuper Straße/ Lauerhofer Feld, mit Ausnahme der umgebenden Grünflächen.

Die detaillierte Abgrenzung zeigt der Übersichtsplan.

Übersichtsplan

siehe in der Anlage

Mit der Aufstellung des Bebauungsplans 07.32.00 – Schlutuper Straße / Lauerhofer Feld - und der zugehörigen 127. Änderung des Flächennutzungsplans sollen für den Bereich der ehemaligen Kleingartenanlage Lauerhof – Gartenfeld 1 und auf dem Grundstück Schlutuper Straße 35 die planungsrechtlichen Voraussetzungen zur Schaffung eines Wohnquartiers bzw. Errichtung eines Hospizes und Palliativzentrums geschaffen werden. Vorgesehen ist die Entwicklung von Flächen für den Wohnungsbau, für Sonderbauflächen sowie für die Naherholung.

Die öffentliche Auslegung der Planentwürfe gemäß § 3 Abs. 2 BauGB erfolgt vom 25.01.2021 bis einschließlich 26.02.2021. In dieser Zeit liegen die Entwürfe des Bebauungsplans 07.32.00 und der zugehörigen 127 Änderung des FNP, die dazugehörigen Begründungen sowie die zu den Bauleitplänen vorliegenden umweltbezogenen Informationen und Stellungnahmen öffentlich aus.

Es bestehen folgende Möglichkeiten zur Einsichtnahme:

  • Internetseiten der Hansestadt Lübeck mit der Möglichkeit zum Download der Unterlagen unter:
    https://www.luebeck.de/de/stadtentwicklung/stadtplanung/bauleitplanung/bebauungsplaene-im-verfahren.html
  • Aushang im Foyer des Fachbereichs Planen und Bauen, Mühlendamm 12 zu folgenden Öffnungszeiten: montags bis mittwochs jeweils 8.00 - 15.00 Uhr, donnerstags 8.00 - 18.00 Uhr und freitags 8.00 - 12.00 Uhr. Da das Verwaltungsgebäude aufgrund der Corona-Pandemie nur mit Termin betreten werden darf, bitten wir um vorherige Terminabsprache mit der zuständigen Sachbearbeiterin unter der Tel.: 0451-122 6138 oder per E-Mail: bebauungsplanung@luebeck.de). Die Möglichkeit zur Einsichtnahme besteht auch dann, wenn die Räume der Verwaltung aufgrund der Corona-Pandemie ansonsten geschlossen sind.

Umweltbezogene Informationen und Stellungnahmen sind in Form der Umweltberichte zu den Bauleitplänen (jeweils Kapitel 6 der Begründung), als Fachgutachten sowie als Stellungnahmen der Öffentlichkeit, der beteiligten Fachbehörden und sonstigen Träger öffentlicher Belange zu folgenden Themen verfügbar und liegen mit aus:

  • Schutzgut Mensch, einschließlich menschlicher Gesundheit:

Schalltechnische Untersuchungen zur Ermittlung und Bewertung der Lärmbelastungen durch Kfz-Verkehr, Gewerbe und Sport auf die geplante Bebauung;

Stellungnahmen zum Immissionsschutz;

Verkehrskonzept mit Untersuchung der bestehenden sowie der prognostizierten künftigen Verkehrsqualität sowie einem Mobilitätskonzept mit Maßnahmen zu Kfz-, Rad- und Fußgängerverkehr; sowie zum Parkraummanagement

Stellungnahmen zur Verkehrsplanung, zum Rad- und Fußwegenetz und zum ruhenden Verkehr;

  • Schutzgüter Pflanzen und Tiere/ biologische Vielfalt:

Beschreibung und Bewertung der vorkommenden Biotoptypen auf Grundlage einer Biotoptypenkartierung;

Faunistische Untersuchung und artenschutzrechtliche Prüfung mit Ermittlung relevanter Arten und artenschutzrechtlicher Beurteilung sowie Beschreibung der voraussichtlichen Auswirkungen auf diese Arten durch die Neubebauung;

Darstellung von Maßnahmen zur Vermeidung und Minderung nachteiliger Auswirkungen auf die Schutzgüter Pflanzen und Tiere sowie Maßnahmen zum naturschutzfachlichen Ausgleich im Umweltbericht;

Stellungnahmen zu vorhandenen Tierarten und zum Artenschutz.

  • Schutzgüter Boden und Wasser:

Boden- und Altlastenuntersuchungen,

Überprüfung auf Kriegsaltlasten durch Stellungnahme des Kampfmittelräumdienstes;

Entwässerungskonzeption mit Maßnahmen zur Rückhaltung und verzögerten Einleitung von Niederschlagswasser;

Stellungnahmen zur Ableitung und Rückleitung von Niederschlagswasser;

Stellungnahmen zur Verringerung der Bodenversiegelung;

Darstellung der voraussichtlichen Veränderungen durch die Neubebauung und der Maßnahmen zur Vermeidung und Minderung nachteiliger Auswirkungen auf die Schutzgüter Boden und Wasser im Umweltbericht.

  • Schutzgüter Klima und Luft:

Konzeptionelle Untersuchungen zur Energieversorgung

Beschreibung der klimatischen Ausgangssituation und Beurteilung der Auswirkungen der Planung im Umweltbericht;

Stellungnahmen zur Energieversorgung und zum Energiekonzept;

Stellungnahmen zur Dach- und Fassadenbegrünung.

  • Schutzgut Kultur- und Sachgüter:

Stellungnahme zu archäologischen Untersuchungserfordernissen.

Schutzgut Landschaft:

Beschreibung und Bewertung des Landschaftsbildes, die Darstellung der voraussichtlichen Veränderungen durch die Neubebauung und Maßnahmen zur Vermeidung und Minderung nachteiliger Auswirkungen Begründung im Umweltbericht.

  • Wechselwirkungen zwischen den Schutzgütern:

Aussagen hierzu sind dem Umweltbericht zu entnehmen.

Während der Auslegungsfrist können alle an der Planung Interessierten die Planunterlagen einsehen sowie Stellungnahmen hierzu schriftlich (auch per E-Mail) oder während eines vereinbarten Termins zur Niederschrift abgeben.

Nicht fristgerecht abgegebene Stellungnahmen können bei der Beschlussfassung über die Bauleitpläne unberücksichtigt bleiben, wenn die Hansestadt Lübeck den Inhalt nicht kannte und nicht hätte kennen müssen und deren Inhalt für die Rechtmäßigkeit der Bauleitpläne nicht von Bedeutung ist.

Für die Änderung des Flächennutzungsplanes wird ergänzend darauf hingewiesen, dass anerkannte Naturschutzverbände und sonstige Vereinigungen im Sinne des § 4 Abs. 3 Satz 1 Nr. 2 des Umwelt-Rechtsbehelfsgesetzes (UmwRG) in einem Rechtsbehelfsverfahren nach § 7 Abs. 2 UmwRG gemäß § 7 Abs. 3 Satz 1 UmwRG mit allen Einwendungen ausgeschlossen sind, die sie im Rahmen der Auslegungsfrist nicht oder nicht rechtzeitig geltend gemacht haben, aber hätten geltend machen können.

Die Verarbeitung personenbezogener Daten erfolgt auf der Grundlage von Artikel 6 Absatz 1 Buchstabe e der Datenschutzverordnung (DSGVO) in Verbindung mit § 3 BauGB und dem Landesdatengesetz. Sofern Sie ihre Stellungnahme ohne Absenderangabe abgeben, erhalten Sie keine Mitteilung über das Ergebnis der Prüfung. Weitere Informationen entnehmen Sie bitte dem Informationsblatt „Informationspflichten bei der Erhebung von Daten im Rahmen der Öffentlichkeitsbeteiligung nach dem BauGB (Artikel 13 DSGVO)“, das mit ausliegt.

 

Lübeck, 15.01.2021                                                    

Hansestadt Lübeck
Der Bürgermeister
Fachbereich 5 – Planen und Bauen
Bereich Stadtplanung und Bauordnung

Informationen
  • Veröffentlicht am:
    16.01.2021
Anlagen