Donnerstag, 18.12.2025

Bauleitplanung der Hansestadt Lübeck

Bebauungsplan 11.03.00 – Wulfsdorf / Karkfeld – 

hier:
Bekanntmachung des Aufstellungsbeschlusses gemäß § 2 Abs. 1 Satz 2 und § 13 b Baugesetzbuch (BauGB)

Der Bauausschuss der Hansestadt Lübeck hat in seiner Sitzung am 04.11.2019 die Aufstellung des Bebauungsplans 11.03.00 – Wulfsdorf / Karkfeld – im Verfahren nach § 13 b BauGB beschlossen. Eine Umweltprüfung nach § 2 Abs. 4 BauGB soll nicht durchgeführt werden.

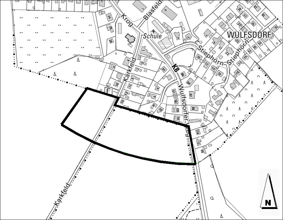
Das Plangebiet des Bebauungsplans 11.03.00 – Wulfsdorf / Karkfeld – liegt im Stadtteil Lübeck-St. Jürgen im Dorf Wulfsdorf, angrenzend an den südlichen Ortsrand von Wulfsdorf zwischen dem Wulfsdorfer Weg (Ortseingang) und der Straße Karkfeld.

Die detaillierte Abgrenzung des Geltungsbereichs zeigt der Übersichtsplan.

Mit der Aufstellung des Bebauungsplans sollen im Wesentlichen die planungsrechtlichen Voraussetzungen für die Schaffung eines Wohngebiets für freistehende Einzelhäuser geschaffen werden.

Übersichtsplan:
(siehe Anlage)

 

Lübeck, 17.12.2019

Hansestadt Lübeck
Der Bürgermeister
Fachbereich 5 – Planen und Bauen
Bereich Stadtplanung und Bauordnung

Informationen
  • Veröffentlicht am:
    18.12.2019
Anlagen