Donnerstag, 16.10.2025

Bauleitplanung der Hansestadt Lübeck

Bebauungsplan 19.03.00 – Niendorf /Holzkoppel –

hier: Bekanntmachung des Aufstellungsbeschlusses gemäß § 2 Abs. 1 Satz 2 und § 13 b Baugesetzbuch (BauGB)

Der Bauausschuss der Hansestadt Lübeck hat in seiner Sitzung am 18.11.2019 die Aufstellung des Bebauungsplans 19.03.00 – Niendorf / Holzkoppel – im Verfahren nach § 13 b BauGB beschlossen. Eine Umweltprüfung nach § 2 Abs. 4 BauGB soll nicht durchgeführt werden.

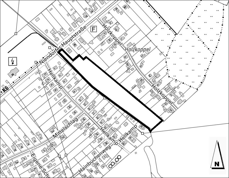
Das Plangebiet des Bebauungsplans 19.03.00 – Niendorf / Holzkoppel – liegt im Stadtteil Lübeck-Moisling, Ortsteil Niendorf / Moorgarten, südlich der Grundstücke Niendorfer Hauptstraße 95 bis 97a zwischen den Straßen Holzkoppel und Hellkamp.

Die detaillierte Abgrenzung des Geltungsbereichs zeigt der Übersichtsplan.

Mit der Aufstellung des Bebauungsplans sollen im Wesentlichen die planungsrechtlichen Voraussetzungen für die Schaffung eines Wohngebiets für freistehende Einzelhäuser geschaffen werden.

Übersichtsplan:

(siehe Anlage) 

 

Lübeck, 06.12.2019                                                    
Hansestadt Lübeck
Der Bürgermeister
Fachbereich 5 – Planen und Bauen
Bereich Stadtplanung und Bauordnung

Informationen
  • Veröffentlicht am:
    09.12.2019
Anlagen