Donnerstag, 23.04.2026

Öffentliche Bekanntgabe einer Widmungsverfügung

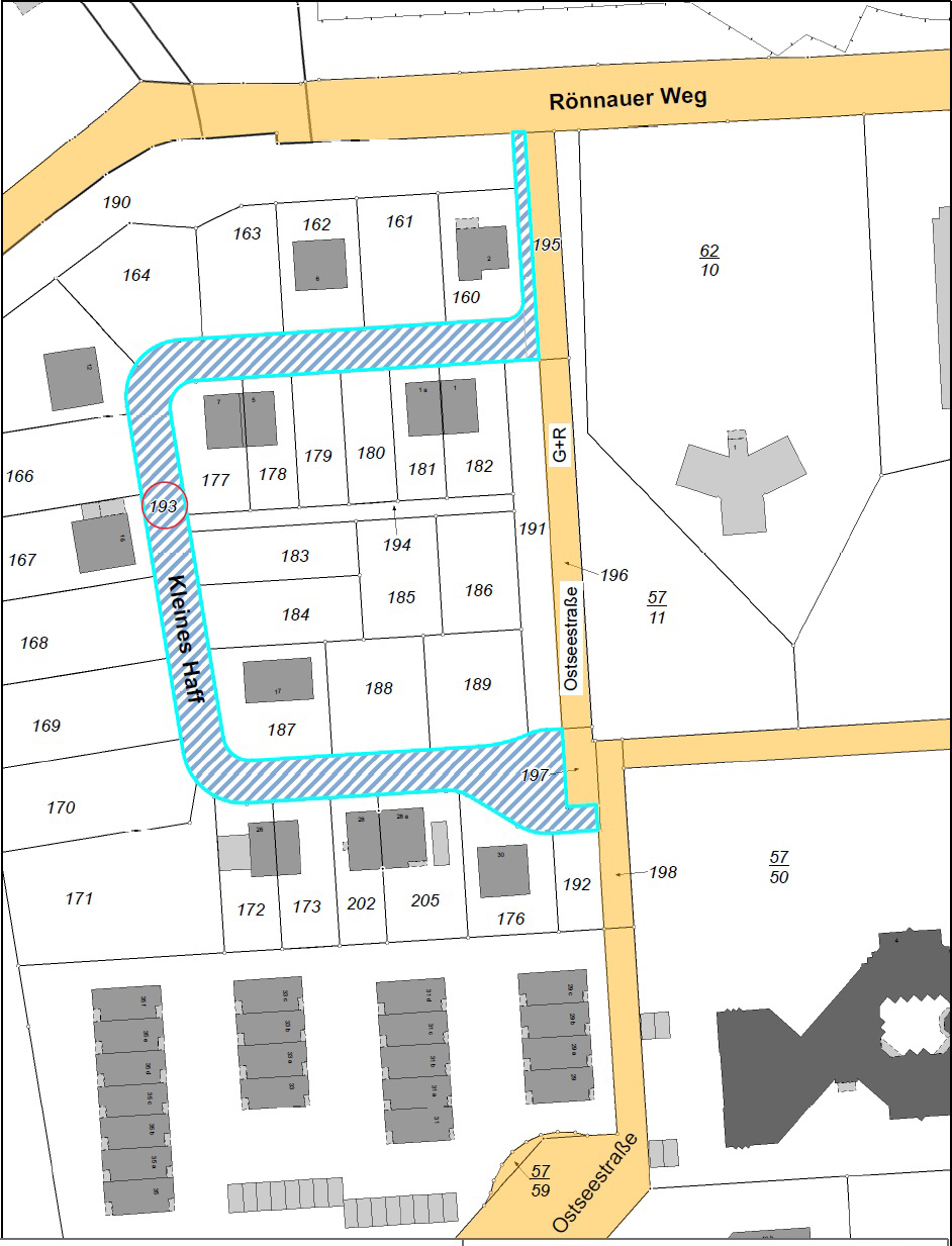
1. Der Bürgermeister der Hansestadt Lübeck, Bereich Stadtgrün und Verkehr, hat am 28.12.2017 folgende Widmungsverfügung erlassen:

Gemäß § 6 Absatz 1 des Straßen- und Wegegesetzes (StrWG) des Landes Schleswig-Holstein in der Fassung der Bekanntmachung vom 25.11.2003 (GVOBl.-SH S. 631) wird in Ausführung des Beschlusses der Bürgerschaft der Hansestadt Lübeck vom 12.12.2017 nachstehende Verkehrsfläche gewidmet:

Gemarkung: Rönnau

Flur:

Flurstück:

Kleines Haff inkl. Wendeanlage sowie Teilfläche der Ostseestraße zwischen Rönnauer Weg und Kleines Haff

2

193

Die erstmalige Einstufung erfolgt gemäß §3 Abs. (1), Ziffer 3a StrWG als Gemeindestraße - Ortsstraße.

2. Rechtsbehelfsbelehrung

Gegen diese Verfügung kann gemäß § 70 der Verwaltungsgerichtsordnung (VwGO) innerhalb eines Monats nach Bekanntgabe schriftlich oder zur Niederschrift bei der auslegenden Dienststelle – Hansestadt Lübeck, Der Bürgermeister, Fachbereich 5 Planen und Bauen, Bereich 660 Stadtgrün und Verkehr, Kleiner Bauhof 11, Zimmer 3.-1.01 ff – Widerspruch erhoben werden.

3.Die Widmungsverfügung und deren Begründung können im Fachbereich 5 Planen und Bauen der Hansestadt Lübeck, Mühlendamm 12, im i-Punkt (Foyer/Erdgeschoss)

montags bis mittwochs jeweils von 8.00 Uhr bis 15.00 Uhr,
donnerstags von 8.00 Uhr bis 18.00 Uhr,
freitags von 8.00 Uhr bis 12.00 Uhr

eingesehen werden.

Lübeck, den 28.12.2017

Hansestadt Lübeck

gez. Saxe                              Siegel

Bernd Saxe
Bürgermeister

Informationen
  • Veröffentlicht am:
    16.01.2018
Anlagen