Mittwoch, 15.10.2025

Bebauungsplan 24.02.02.-Eutiner Straße/Friedhofsallee

AMTLICHE  BEKANNTMACHUNG

Bauleitplanung der Hansestadt Lübeck

hier:   

1.       Bekanntmachung des Aufstellungsbeschlusses gem. § 2 (1) Satz 2 BauGB für den Bebauungsplan                 24.02.02 – Eutiner Straße / Friedhofsallee –

 

2.   Öffentliche Unterrichtung und Erörterung der allgemeinen Ziele und Zwecke der Planung zur Beteiligung           der Öffentlichkeit nach § 3 (1) Satz 1 BauGB für den Bebauungsplan 24.02.02 – Eutiner Straße /    
      Friedhofsallee –

 

 

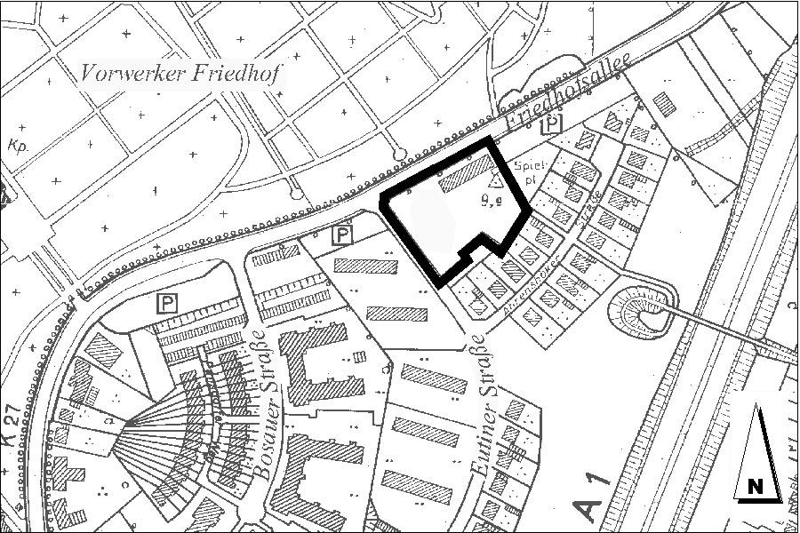
Der Bauausschuss der Hansestadt Lübeck hat in seiner Sitzung am 21.04.2008 beschlossen, dass für das nachfolgend dargestellte Gebiet der Bebauungsplan 24.02.02 – Eutiner Straße / Friedhofsallee – aufgestellt wird.

 

Dieser Beschluss wird hiermit bekannt gemacht.

Der o. g. Bebauungsplan wird gem. § 13 a BauGB im beschleunigten Verfahren ohne Durchführung einer Umweltprüfung nach § 2 (4) BauGB aufgestellt.

 

 

Übersichtsplan

* Anlage: siehe unten ! 

 

Allgemeine Ziele und Zwecke der Planung

 

Durch den vorgenannten Bebauungsplan sollen im wesentlichen die planungsrechtlichen Voraussetzungen für den Bau eines Lebensmittelmarktes geschaffen werden.

 

Der Öffentlichkeit wird in der Zeit vom 05.05.2008 bis einschließlich 16.05.2008 montags bis mittwochs jeweils von 8.00 Uhr bis 15.00 Uhr, donnerstags von 8.00 bis 18.00 Uhr sowie freitags von 8.00 bis 12.00 Uhr im Fachbereich Planen und Bauen der Hansestadt Lübeck, Bereich Stadtplanung, Mühlendamm 12 (Foyer), Erdgeschoss, durch Aushang der erarbeiteten Planungsvorstellungen Gelegenheit zu weiterer Information (Ziel, Zweck und Auswirkung der Planung) sowie zur Äußerung und Erörterung gegeben.

 

Ferner werden die für die Flächen des Planungsgebietes erarbeiteten Ziele und Zwecke der Planung einschließlich ihrer voraussichtlichen Auswirkungen in einer öffentlichen Veranstaltung am 06.05.2008 um 19.00 Uhr in der Paul-Gerhardt-Schule, Musikraum im EG, Paul-Gerhardt-Straße 4-8 in Lübeck, gesondert dargelegt. Dabei wird ebenfalls Gelegenheit zur Äußerung und Erörterung gegeben. Die erarbeiteten Planungsvorstellungen können bereits eine viertel Stunde vor Veranstaltungsbeginn eingesehen werden.

 

 

Lübeck,  25.04.2008                        Hansestadt Lübeck

                                                             Der Bürgermeister

                                                             Fachbereich 5 – Planen und Bauen

                                                               Bereich Stadtplanung

Informationen
  • Veröffentlicht am:
    26.04.2008
Anlagen